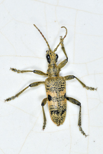
Observation n° 1112203 Rhagium mordax

Informations

Donnée considérée certaine, très probable

Source de la donnée : Terrain
Type de donnée : Privée

Date : 19/04/2026

Date de saisie : 21/04/2026

Localisation

Localisation à la commune, par décision de l'observateur.

Observateur(s) (Sologne Nature Environnement)

avatar Philippe FRELON

Détail de l'observation

Naturalité : Sauvage
- Imago ( 1 non différencié(s) )
Etat biologique : Observé vivant
Contact : Vu
Prospection : A vue
Statut biologique : Non renseigné
Comportement : Non renseigné
Déterminateur : Sebastien DAMOISEAU

UUID SINP : 6aebd0e0-0a74-49e7-92a0-e94663b74fae

Photo(s)


Facebook Linkedin email